Home
 
  Geschichte
Baugeschichte
  Sanierung
 

Das Kleine Schloss in Wolfenbüttel
Baugeschichte: 18. Jahrhundert


Der sog. "Rothermund - Plan", um 1780

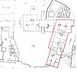
1728 - 1730 wurde der Westflügel und der unmittelbar angrenzende Teil des Südflügels vollständig abgerissen und wieder aufgebaut, wohl unter Verwendung der alten Natursteinkeller. Hauptbestandteil dieses Anbaues war der große Festsaal im ersten Obergeschoss, der stützenfrei über eine Spannweite von 14,4 m reichte. Nur dieser Anbau von 1730 ist noch erhalten.

Der Grundriss links zeigt das gesamte Ensemble nach Errichtung des neuen Westflügels. Der erhaltene Teil ist rot markiert.

Die Ausführung erfolgte in Fachwerkbauweise, wobei das Gebäude deutlich dreigeteilt ist:
An den neuen, dreigeschossigen Teil des Südflügels, der sich offenbar dem erhalten gebliebenen älteren Teil anpasste, schließt sich leicht spitzwinklig der zweigeschossige Saalbau an. Daran anschließend befindet sich das ebenfalls zweigeschossige, aber wesentlich niedrigere sogenannte Kleine Haus.

Das Gebäude stellt zumindest im Fachwerkgefüge einen vollständig barocken Neubau dar, dessen Baumeister vermutlich Landbaumeister Hermann Korb war.

Bereits im Verlauf des 18. Jahrhunderts wurden umfangreiche Umbauarbeiten begonnen, so wurden z.B. die ursprünglich offenen Kamine durch Kachelöfen ersetzt.


Informationen, Fragen, Anregungen an webmaster@kleines-schloss.de